650,000
Central Serity land for sale; benefit from living in Trinidad’s most populated area! Recently subdivided, the roads have almost been completed, and the utility and other infrastructure such as drains, is already in place! See the photographs and Cadastral Map included!
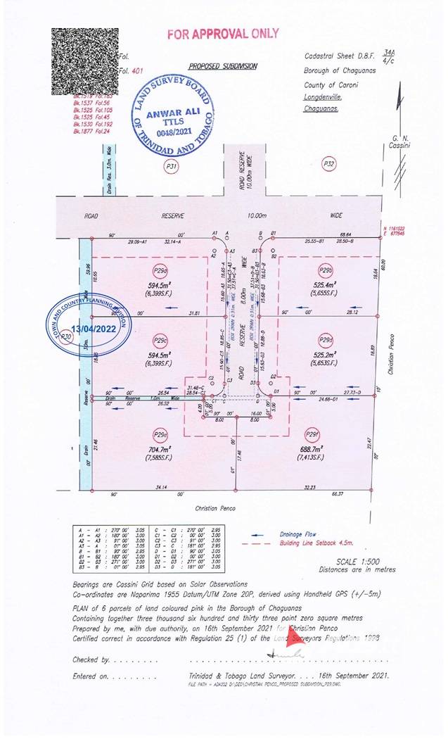
Here we have available in total, six (6) residential plots for sale, ranging in size etc. as follows: –
Lot P29 A – 6,397 sq. ft. – $730,000
Lot P29 B – 5,646 sq. ft. – $650,000
Lot P29 C – 6,398 sq. ft. – $730,000
Lot P29 D – 5,647 sq. ft. – $650,000
Lot P29 E – 7,583 sq. ft. – $860,000
Lot P29 F – 7,411 sq. ft. – $850,000
DISCLAIMER: The price shown is for the smallest lot, Lot P29B only! This is the starting price!





Leave feedback about this
You must be logged in to post a review.